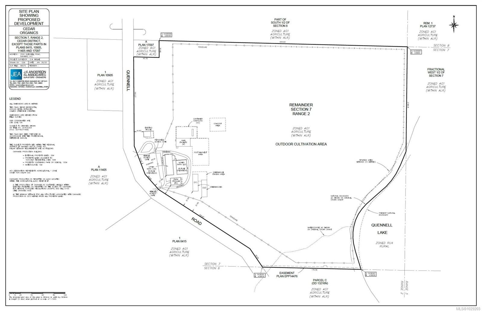
AGRICULTURAL / PRODUCTION OPPORTUNITY Farm on the shores of Quennell Lake, featuring lake and mountain views alongside a diverse agricultural and production infrastructure. The property includes a 3-bedroom, 2-bathroom residence with a large view deck. Extensive outbuildings support a range of agricultural or agri-business uses, including an 84'x48' production and processing building, 40'x60' quonset, 80'x60' potato barn, 122'x40' shop and storage building, plus two greenhouses. Historically operated as a potato farm and most recently a licensed cannabis grow facility, the property is well-positioned for continued or alternative agricultural production. Approximately 20 acres of fertile floodplain are serviced by a drainage and pump system (as-is) for water management. The property includes secure fencing and gated access. Water licence to draw from the lake is to be verified by the buyer. Property is being sold as-is, where-is. Court-ordered sale; court approval required. For more information contact the listing agent, Kirk Walper, at 250-228-4275.
Address
2550 Quennell Rd
List Price
$2,495,000
Property Type
Commercial Sale
Type of Dwelling
Other
Transaction Type
Sale
Area
Nanaimo
Sub-Area
Na Cedar
Lot Size
1807304 Sq. Ft.
Lot Size (Acres)
41.59 Ac.
MLS® Number
1029265
Listing Brokerage
Royal LePage Island Living (PK)
| Royal LePage Island Living (QU)
Postal Code
V9X 1K4
Tax Amount
$10,019.92
Tax Year
2025
Features
Forced Air, Mixed, Oil









































